
Furacões
O que são furacões
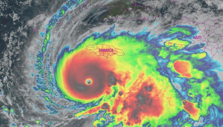
Os furacões são tempestades tropicais extremamente poderosas que se formam sobre oceanos quentes, geralmente entre as latitudes 5° e 20° norte ou sul do equador. São sistemas de baixa pressão com ventos intensos que giram em torno de um centro calmo conhecido como “olho do furacão”.
Formação
Os furacões formam-se quando:
A temperatura da superfície do mar ultrapassa os 26,5 °C.
Há humidade abundante nas camadas médias e inferiores da atmosfera.
Existem ventos fracos e estáveis em altitude, permitindo que o sistema se organize.
Uma perturbação atmosférica inicial (como uma onda tropical) fornece o impulso para o desenvolvimento.
À medida que o ar quente e húmido sobe, arrefece e condensa, libertando energia sob a forma de calor latente. Essa energia alimenta o sistema, fazendo-o crescer e intensificar-se.


Estrutura de um furacão
Olho: zona central calma, com céu limpo e ventos fracos.
Parede do olho: região mais perigosa, onde se registam os ventos mais fortes e chuvas mais intensas.
Bandas de chuva: faixas de nuvens e tempestades que se estendem a centenas de quilómetros do centro.
Classificação
Efeitos e perigos
Os furacões podem causar:
Ventos destrutivos que derrubam árvores e edifícios.
Chuvas torrenciais que provocam inundações e deslizamentos de terra.
Marés ciclónicas (ondas gigantes) que inundam zonas costeiras.
Cortes de energia e escassez de recursos essenciais.
Os furacões são classificados pela Escala de Saffir-Simpson, que mede a intensidade dos ventos sustentados:
Categoria 1: 119–153 km/h – danos ligeiros.
Categoria 2: 154–177 km/h – danos moderados.
Categoria 3: 178–208 km/h – danos significativos.
Categoria 4: 209–251 km/h – danos severos.
Categoria 5: ≥252 km/h – destruição catastrófica.


Furacão katrina
Nova orleães, EUA - 2005




Furacão Iniki
Havaí - 1992


Furacão Ike
Grandes Antilhas e da América do Norte - 2008
Prevenção e preparação
Embora não seja possível impedir a formação de furacões, é possível reduzir os seus impactos através de:
Sistemas de alerta precoce e monitorização meteorológica.
Planos de evacuação e abrigos de emergência.
Construções resistentes a ventos fortes.
Educação pública sobre segurança em desastres naturais.
Curiosidades
No Atlântico, os furacões são chamados “tufões” no Pacífico e “ciclones” no Índico.
Os nomes dos furacões são escolhidos por listas anuais da Organização Meteorológica Mundial.
Quando um furacão causa destruição extrema, o seu nome é retirado permanentemente da lista.
Impacto global
Os furacões afetam milhões de pessoas todos os anos, especialmente nas Caraíbas, América Central, sudeste dos Estados Unidos e sudeste asiático. Com o aquecimento global, os cientistas alertam para a possibilidade de furacões mais intensos e com maior capacidade destrutiva no futuro.